PROPERTY MANAGEMENT & DEVELOPMENT 

DevYap Realty Group
25 Boston Street, Boston, MA 02127, USA

ph: 857 600 9198

bilgi@devyap.com

  • Home
  • RESIDENTIAL
  • COMMERCIAL
  • TENANTS
  • Investment Opt.
  • Human Resources
  • Contact
  • Kervan Saray Project, S.B
  • Silk Road Project, H.P
  • 1A Marina & Restaurant, Revere
  • Showcase International, Burlington

Kervan Saray Project, S.B

South Boston Development land with buildings for sale

15-27 Boston st. Andrew Square, South Boston, 233,400 s.f. proposed mixed-use complex

    South Boston Mass development land with buildings for sale

     CONSTRUCTION COSTS

     

     SF PER SF COSTS* Total

    Office 33,300 $ 150.00 $ 4,995,000.00

    Retail 33,300 $ 125.00 $ 4,162,500.00

    Hotel 204 Rooms 42,840 $ 81.00 $ 3,470,040.00

    Atrium 4,700 $ 100.00 $ 470,000.00

    Parking 172 Spaces $15,000/space $ 2,580,000.00

    Mosque 7,400 $ 200.00 $ 1,480,000.00

    Turkev 8,500 $ 150.00 $ 1,275,000.00

     

    SOFT COSTS

    Site Improvement/Engineering

    Building Design and Engineering

    Financial:

    Construction Period Interest

    Financing Fees

    Legal Advertising

    Leasing Costs

    Tenant Build Out Allowance

    Administrative

    Contingency $ 7,373,016.00

    Land $ 5,000,000.00

    Total $ 30,805,556.00

    Operational COSTS/yr $ 3,400,000.00

    *As determined by Owner

     

    INCOME SF RENT/SF/YR Total/yr

    Office 33,300 $ 20.00 $ 666,000.00

    Retail 33,300 $ 15.00 $ 499,500.00

    Hotel 204 Rooms 42,840 $170/night $ 12,658,200.00

    Turkev 8,500 $ 10.00 $ 85,000.00

    Parking 172 Spaces $20/night $ 1,255,600.00

    Total $ 15,164,300.00

     

    COSTS SF PER SF COSTS** Total SALES TOTAL

    Office 33,300 $ 225.00 $ 7,492,500.00 $300/sf. $ 9,990,000.00

    Retail 33,300 $ 225.00 $ 7,492,500.00 $300/sf. $ 9,990,000.00

    Hotel 204 Rooms 42,840 $ 120.00 $ 5,140,800.00 $100,000/rm $ 20,400,000.00

    Atrium 4,700 $ 140.00 $ 658,000.00 ‐ ‐

    Parking 172 Spaces $40,000/space $ 6,880,000.00 $40,000/space $ 6,880,000.00

    Mosque 7,400 $ 400.00 $ 2,960,000.00 ‐ ‐

    Turkev 8,500 $ 250.00 $ 2,125,000.00 $300/sf.

    $ 2,550,000.00

    SOFT COSTS $ 13,099,520.00 ‐ ‐

    Land $ 5,000,000.00 ‐ $ 15,000,000.00

    Total $ 50,848,320.00 $ 64,810,000.00

    Operational COSTS/yr $ 3,400,000.00

     **As Determined by Commodore Builders

    Kervan Saray

    @

    Andrew Sq. South Boston

    The Andrew Square neighborhood is in a busy, rapidly changing section of the City. The neighborhood is divided by a commuter rail line and a major highway while remaining connected to the downtown business district via the subway. The transportation hub of the city, South Station, is but two stops away.

    The site of this proposed 233,400 s.f. mixed-use development is 530 feet from the Andrew Square subway entrance and twenty minutes from the airport via subway.

    South Boston development land with buildings for sale

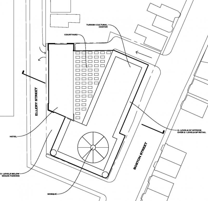
    The parcel is bound on three sides by public ways and on the fourth side by low scale commercial and residential buildings. The principal office, retail and cultural center building faces Boston Street at the front of the site and the hotel faces Ellery Street to the rear of the site.

    A mosque sits atop the 4-story retail and office building along with Boston’s Turkish House (Turkev). The location of the mosque is highlighted by non-traditional minarets at two corners which help establish its presence as a place of peace and reconciliation in the Andrew Square community.

    This main building shares its entry with the public at street level via a widened sidewalk and a colonnaded access into the first floor level shops and elevators to the upper levels. The intention here is to promote seasonal outdoor merchandizing and cafe activity.

     


    The 12-story hotel to the rear of the site may be accessed from either Boston Street or via auto at the rear of the site on Ellery Street. This is a limited service hotel (no formal ballroom, no pool, etc.) However, its location vis a vis downtown via auto or subway puts it in close range of the financial, medical and educationalinstitutions that are the cornerstones of the City’s life.

    The common space between the hotel and the commercial building is an enclosed, sky lit courtyard to beshared by all users of these properties. And, below the entire site are three levels of parking totaling 257spaces.

    The project has been designed as a destination for commerce, culture and an outreach for things Turkish in New England and beyond.

     

     

    FOR ALL OTHER INQUIRIES INCLUDING SURPLUS PROPERTY SALES PLEASE CALL ABYH @ 617 833 1218

    DevYap Realty Group
    25 Boston Street, Boston, MA 02127, USA

    ph: 857 600 9198

    bilgi@devyap.com